Heupdysplasie bij de hond

Heupdysplasie

Heupdysplasie

Bij heupdysplasie ( afgekort HD) is er een misvorming van 1 of beide gewrichten van de heup. De gevolgen hier van zijn dat de kop van het dijbeen niet meer goed in de bekkenkom past. HD komt vaak voor bij de hond, helemaal bij rassen zoals de Duitse Herder, de retrievers, de Border collies, de Rottweilers en de Berner Sennenhond.
HD is voor een deel een erfelijke aandoening. Als men een hond wil aanschaffen van een ras die er gevoelig voor is, is het verstandig om naar de hd-staus van de ouders te vragen.

Wat ook meespeelt  is het voedsel. HD komt vaker voor bij honden die tijdens de groei overvoed worden. Van belang is dus de honden in deze periode niet teveel te eten te geven. Bij rassen die gevoelig zijn voor HD is het zelfs beter de hond eerder ietwat te ondervoeden ter voorkoming van HD. Wat vaak gebeurt en wat niet goed is, vooral bij grote rassen, is het geven  van extra calcium aan het dieet. Dit werkt averechts! Studies hebben aangetoond, dat honden die extra calcium krijgen méér Heupdysplasie en overige gewrichtsafwijkingen ontwikkelen dan honden die dit niet krijgen.
Ook is het belangrijk dat men de gewrichten van de jonge hond in de groei niet te zwaar belast. Niet te veel spelen (lees springen) of traplopen.

Symptomen van heupdysplasie bij de hond

Rond de leeftijd van een maand of zes komen de eerste symptomen. Echter ze kunnen ook later of al vanaf een maand of 2 optreden. Mank lopen ten gevolge van pijn is het eerste symptoom. De aangetaste poot zal trekken. De hond loopt met een  'konijnenpas',  waarbij hij met de 2 achterpoten huppelt. In een verder stadium ontstaat artrose. dit komt door een ongelijke slijtage van het gewricht. Naarmate de hond ouder wordt worden de symptomen steeds erger.

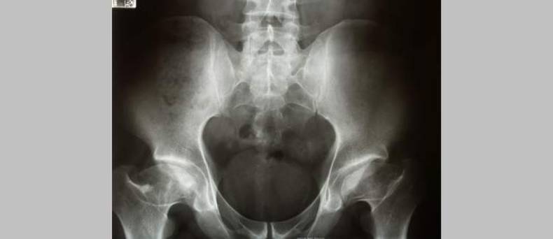
Diagnose van heupdysplasie bij de hond

Door middel van radiografie wordt de diagnose gesteld.
Vaak zal de hond een roesje krijgen voor dit onderzoek. Hij wordt dan op de rug gelegd en de poten worden loodrecht naar achter getrokken. Dit is pijnlijk. Naar aanleiding van de ernst die waargenomen wordt zal een beoordeling worden gegeven van A tot D aan alle twee de heupgewrichten. Hierbij is  A het beste resultaat is. Rashonden die voor de fok worden gebruikt moeten beoordeeld worden door de keuringscommissie. Ze mogen alleen gebruikt worden voor de fok als ze voldoen aan de vereisten.Bron foto: Joel Mills

Behandeling van heupdysplasie bij de hond

Een hond met HD heeft goede spieren nodig ter ondersteunen van de gewrichten. Trainen middels korte wandelingen meerdere keren per dag is nodig. Te veel belasten is echt uit den boze, omdat dit zorgt voor verergering. Zwemmen is zeer geschikt.

Honden mogen geen overgewicht hebben. De belasting op de gewrichten verergeren hierdoor. Te dikke honden moeten op dieet gezet worden. Ontstekingsremmende en pijnstillende medicatie kunnen verlichting geven. De producten chondroïtinesulfaat en glucosamine kunnen wellicht ook verlichting geven

Zwaardere HD zal men vaak operatiefbehandelen. klinieken met gespecialiseerde mensen kunnen zelfs een nieuwe (kunstmatige) heup plaatsen.

Progonose van heupdysplasie bij de hond

Dit hangt af  van de ernst van de aandoening. Genezen kan het niet. Medicijnen en operatie kunnen de ziekte onder controle brengen. In de ergste gevallen zal soms beslist worden tot euthanasie. Puur om het dier uit zijn lijden te verlossen.

Preventie van heupdysplasie bij de hond

De opgroeiende hond niet te veel eten geven, geen voedingssupplementen en matige beweging zonder overbelasting. Dit helpt allemaal in het voorkomen van hd bij de hond.

Welke rassen zijn vatbaar voor heupdysplasie

Van de volgende rashonden is bekend dat ze aanleg hebben of gevoelig zijn voor heupdysplasie

Deze informatie is ter kennisgeving. Bij vragen en advies neem dan contact op met je dierenarts.

Anderen bekeken ook